Wieder hole ich diesen Thread aus den Tiefen des Forums.
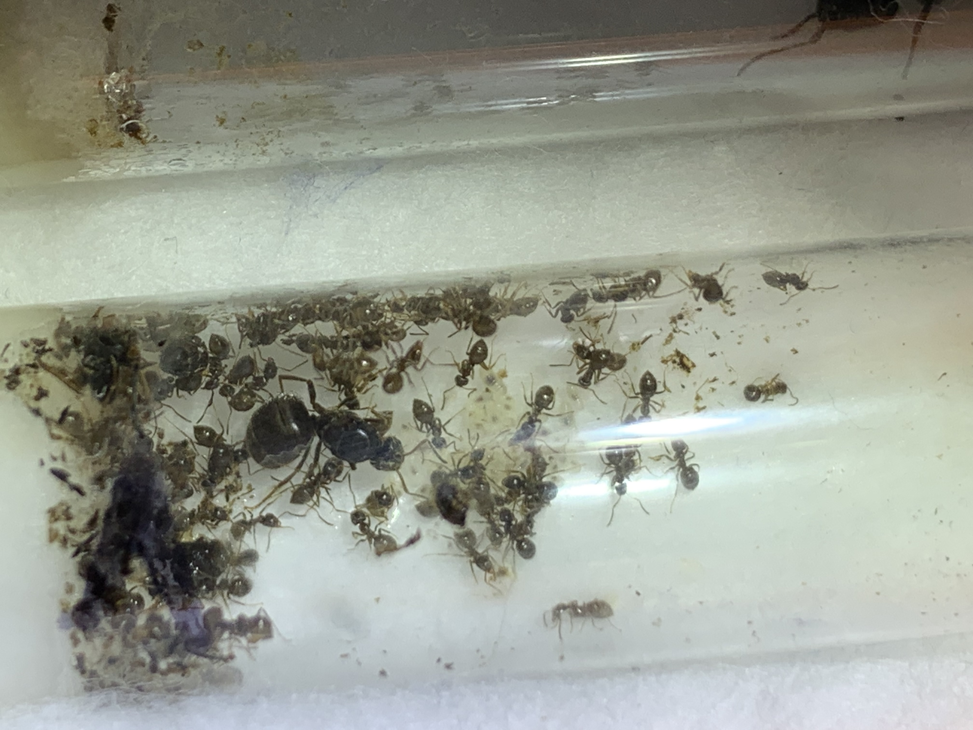
Ich habe eben die Brotdose mit den Ameisen ausm KĂĽhlschank genommen und mal nachgeschaut wie es den Ladys so geht.
Ich lasse diese Bilder hier mal unkommentiert:
Da ich aus Mangel an Intresse/Zeit im Bestimmen eine Niete bin, habe ich die Arten die ich selbst bestimmt habe ein „?!?“ hinten drangehängt! Verzeiht mir wenn das falsch ist, für Korrekturen bitte gerne melden!
Gruss Rapunzula
Einwintern - Camponotus herculeanus und Camponotus ligniperda von Rapunzula
Wo braucht Ihr Hilfe, was an Fragen Eurer Ameisenhaltung möchtet Ihr diskutieren?
Zurück zu „Einsteigerfragen“
Gehe zu
- Ameisenhaltung & Ameisenhaltungsberichte
- ↳ Haltungserfahrungen & Beobachtungen
- ↳ Ameisen-Haltungsberichte europäische Ameisen
- ↳ Camponotus-Haltungsberichte (europäische Ameisenarten)
- ↳ Cataglyphis-Haltungsberichte (europäische Ameisenarten)
- ↳ Formica-Haltungsberichte (europäische Ameisenarten)
- ↳ Lasius-Haltungsberichte (europäische Ameisenarten)
- ↳ Manica-Hatungsberichte (europäische Ameisenarten)
- ↳ Messor-Haltungsberichte (europäische Ameisenarten)
- ↳ Myrmica-Haltungsberichte (europäische Ameisenarten)
- ↳ Pheidole-Haltungsberichte (europäische Ameisenarten)
- ↳ Temnothorax-Haltungsberichte (europäische Ameisenarten)
- ↳ Tetramorium-Haltungsberichte (europäische Ameisenarten)
- ↳ Ameisen sonstige einheimische Gattungen/Arten-Haltungsberichte
- ↳ Ameisen-Haltungsberichte exotische Ameisen
- ↳ Acromyrmex-Haltungsberichte (exotische Ameisenarten)
- ↳ Atta-Haltungsberichte (exotische Ameisenarten)
- ↳ Anoplolepsis-Haltungsberichte (exotische Ameisenarten)
- ↳ Camponotus-Haltungsberichte (exotische Ameisenarten)
- ↳ Carebara (Pheidologeton)-Haltungsberichte (exotische Ameisenarten))
- ↳ Cataglyphis-Haltungsberichte (exotische Ameisenarten)
- ↳ Diacamma-Haltungsberichte (exotische Ameisenarten)
- ↳ Gigantiops-Haltungsberichte (exotische Ameisenarten)
- ↳ Harpegnathos-Haltungsberichte (exotische Ameisenarten)
- ↳ Messor-Haltungsberichte (exotische Ameisenarten)
- ↳ Myrmecia-Haltungsberichte (exotische Ameisenarten)
- ↳ Odontomachus-Haltungsberichte (exotische Ameisenarten)
- ↳ Oecophylla-Haltungsberichte (exotische Ameisenarten)
- ↳ Neoponera / Pachycondyla-Haltungsberichte (exotische Ameisenarten)
- ↳ Paraponera-Haltungsberichte (exotische Ameisenarten)
- ↳ Pheidole-Haltungsberichte (exotische Ameisenarten)
- ↳ Polyrhachis-Haltungsberichte (exotische Ameisenarten)
- ↳ Solenopsis-Haltungsberichte (exotische Ameisenarten)
- ↳ Sonstige exotische Ameisengattungen/Arten-Haltungsberichte
- ↳ Ameisenbeobachtungen im Freiland
- ↳ Meinungen & Fragen zu den Haltungsberichten
- Einsteiger Fragen und Informationen
- ↳ Einsteigerfragen
- ↳ Informationen fĂĽr Einsteiger
- ↳ Ungebetene Untermieter & Störenfriede im Haus
- Neuigkeiten und Information
- ↳ Neuigkeiten
- ↳ Wissen & Handwerk der Ameisenhaltung
- ↳ Ameisenfutter
- ↳ Tutorials
- ↳ Die schönsten / tollsten Formicarien
- ↳ Wissensthreads
- ↳ Artbeschreibungen (Steckbriefe)
- ↳ Linkliste
- ↳ Lexikon
- ↳ Diskussionen und Hinweise zum Wissensbereich
- ↳ Forenregeln & Wichtige Hinweise
- Haltungsberichte mit Edit-Rechten
- ↳ Ameisenhaltungsbericht von Justus64 [Pheidole megacephala]
- ↳ Berichte von Martin H.
- Welches Futter fĂĽr welche Ameisenarten
- ↳ Futter fĂĽr einheimische Ameisenarten
- ↳ Camponotus [Futter]
- ↳ Cataglyhis [Futter]
- ↳ Formica [Futter]
- ↳ Lasius [Futter]
- ↳ Manica [Futter]
- ↳ Messor [Futter]
- ↳ Myrmica [Futter]
- ↳ Pheidole [Futter]
- ↳ Sonstige Gattungen [Futter]
- ↳ Futter fĂĽr exotische Ameisenarten
- ↳ Acromyrmex & Atta [Futter]
- ↳ Camponotus [Futter]
- ↳ Carebara [Futter]
- ↳ Diacamma [Futter]
- ↳ Messor [Futter]
- ↳ Pheidole [Futter]
- ↳ Polyrhachis [Futter]
- ↳ Solenopsis [Futter]
- ↳ Sonstige Gattungen [Futter]
- Ameisen-Videos & Videos anderer Insekten
- ↳ Videos einheimischer Arten
- ↳ Camponotus [Videos]
- ↳ Cataglyphis [Videos]
- ↳ Formica [Videos]
- ↳ Lasius [Videos]
- ↳ Manica [Videos]
- ↳ Messor [Videos]
- ↳ Myrmica [Videos]
- ↳ Pheidole [Videos]
- ↳ Temnothorax [Videos]
- ↳ Tetramorium [Videos]
- ↳ Sonstige Gattungen [Videos]
- ↳ Videos exotische Arten
- ↳ Acromyrmex (exotisch) [Videos]
- ↳ Atta (exotisch) [Videos]
- ↳ Anoplolepsis (exotisch) [Videos]
- ↳ Camponotus (exotisch) [Videos]
- ↳ Carebara (exotisch) [Videos]
- ↳ Diacamma (exotisch) [Videos]
- ↳ Messor (exotisch) [Videos]
- ↳ Myrmecia (exotisch) [Videos]
- ↳ Oecophylla (exotisch) [Videos]
- ↳ Pheidole (exotisch) [Videos]
- ↳ Polyrhachis (exotisch) [Videos]
- ↳ Solenopsis (exotisch) [Videos]
- ↳ Andere exotische Gattungen [Videos]
- ↳ Videos andere Insekten
- ↳ Diskussionen Ameisen-Videos & andere Insekten
- Auszeichnungen
- ↳ User des Monats
- Projekte
- ↳ Projekte
- Ameisennester erstellt mit 3D-Druck
- Allgemein
- ↳ Europäische Ameisenarten & Allgemeines
- ↳ Exotische Ameisenarten
- ↳ Bestimmung von Ameisen
- ↳ Bestimmung von Ameisenköniginnen
- ↳ Fotos & Videos
- ↳ Einheimische & Europäische Ameisen
- ↳ Exotische Ameisen
- ↳ Formicarien & Andere Unterbringungen
- ↳ Fotoberichte & Videoberichte
- ↳ Videos
- ↳ Meinungen & Fragen zu den Fotos & Videos
- ↳ Mein Formikarium kurz vorgestellt
- ↳ Technik & Basteln
- ↳ Futterversorgung, was ist machbar fĂĽr unsere Ameisenhaltung?
- ↳ Neues aus Medien & Wissenschaft
- Ameisenbörse
- ↳ Europa-Flohmarkt
- ↳ Exoten-Flohmarkt
- ↳ Andere Insekten & Spinnentiere - Flohmarkt
- ↳ Ameisen-Zubehör-Flohmarkt
- Sonstiges
- ↳ Off-Topic
- ↳ Aus Themen entfernte Beiträge
- ↳ Andere Insekten & Spinnentiere
- ↳ Vorschläge, WĂĽnsche & Umfragen
- ↳ Usertreffen
