Haltungsbericht kubanische Myrmicinae

Allgemeine Fragen und Themen über exotische Ameisenarten (hier keine Berichte)
Benutzeravatar
ReliAnt

User des Monats Mai 2018 User des Monats August 2019
Halter
Offline
Beiträge: 289
Registriert: 4. April 2018, 21:01
Auszeichnung: 2
Hat sich bedankt: 166 Mal
Danksagung erhalten: 339 Mal

#9 Re: Haltungsbericht kubanische Myrmicinae

Beitrag von ReliAnt » 9. September 2019, 22:53

09.09.2019 (Koloniealter ca. 85 Tage): 1 Königen, ca. 200 Eier, ca. 200 Larven, ca. 200 Nacktpuppen, 260 Arbeiterinnen

Am heutigen Tag habe ich einen sehr, sehr großen Major in der Arena entdecken können.
Im Größenvergleich hatte ich zunächst gedacht, dass es sich um die Königin handelt.
Er war nur kurz auf "freiem Feld" zu erkennen, bevor er sich in das Gewusel des Reagenzglases zurückzog...

Solenopsis geminata bildet laut Literatur diese übergroßen Majore aus, offenbar auch super Major genannt.
Wusste ich bisher auch nicht bzw. hatte das als "Passivwissen" im Hinterkopf da mal irgendwo im Zusammenhang mit einer anderen Art gelesen.
In den kommenden Tagen werd ich versuchen, das Biest vor die Linse zu bekommen :rolleyes:

Das heutige Update zeigt erneut ein Video.
Zu sehen ist die Kolonie wie sie sich am Liquid Feeder beglückt.
Erinnert mich an die Bierstände beim Kölner Karneval :p

Seht selbst:


Kann es sein, dass die Videoqualität am besten ist im Vergleich zum eingebetteten Player, wenn man das Video direkt bei Youtube anschaut?
Das ist mir auch bereits bei anderen Videos in anderen Foren aufgefallen, scheint an der Einbettfunktion von Youtube zu liegen.

Dass die Arena und das Nest vergrößert werden müssen, das ist wohl Fakt.
Und das muss in den nächsten 14 Tagen passieren - die Reagenzgläser sind beide voll :eek:

Im Keller läuft das Bauprojekt auf vollen Touren.
In den kommenden Tagen eröffne ich dafür einen weiteren Beitrag :bananadancer:
Folgende Benutzer bedankten sich beim Autor ReliAnt für den Beitrag (Insgesamt 4):
Ameisenstarteranthalter_19User3165Unkerich



Benutzeravatar
ReliAnt

User des Monats Mai 2018 User des Monats August 2019
Halter
Offline
Beiträge: 289
Registriert: 4. April 2018, 21:01
Auszeichnung: 2
Hat sich bedankt: 166 Mal
Danksagung erhalten: 339 Mal

#10 Re: Haltungsbericht kubanische Myrmicinae

Beitrag von ReliAnt » 22. September 2019, 17:18

22.09.2019 (Koloniealter ca. 100 Tage): 1 Königen, sehr viele Eier, sehr viele Larven, sehr viele Nacktpuppen, geschätzte 350 Arbeiterinnen

Der ein oder andere wird es bereits im zugehörigen Thread gesehen haben:
Die Kolonie hat eine neue, vergrößerte Arena. Das war dringend nötig.
Das Wachstum der "Cuban Colony" wie ich die Kolonie getauft habe explodiert.
Ich schätze die Population auf mittlerweile 300+ Arbeiterinnen

Hier könnt ihr den bebilderten Bau der neuen Arena Nachverfolgen, wenn ihr möchtet:
topic60075.html

So sieht das fertige Resultat aus:
38_finales Bild.jpg


Nun zum eigentlichen Update des Haltungsberichtes:

Zu einem HB gehören für mich auch die Beschreibung und Dokumentation relevanter Beobachtungen.

Beispielsweise ist gemeint:
Beobachtungen zum Wachstum.
Beobachtungen zur Futteraufnahme.
Beobachtungen zu bemerkensewerten Verhaltensweisen in Gefangenschaft bzw. in der "Haltung" wie wir es nennen.

Für Solenopsis cf. geminata habe ich davon in den letzten Wochen bereits eine ganze Menge gemacht und sicher werde ich beizeiten auch einen Sammelthread hierzu erstellen.

Gerne ergänze ich auch mit ausgewählten Beispielen und Bebilderung die Artenbeschreibung hier im Forum falls möglich und erwünscht.

Natürlich sind die gemachten Beobachtungen nicht verallgemeinerbar für diese Art.
Das Verhalten von Kolonien hängt von äußeren Rahmenbedingungen genauso ab wie von der Koloniegröße oder dem Ernährungszustand.

Mindestens können die Beobachtungen jedoch bereits gemachte Eindrücke bestätigen oder auf Abweichungen aufmerksam machen.

Derartiger "Observationen" könnte ich bereits ein Dutzend dokumentieren.
Für heute möchte ich zunächst eine Beobachtung aus meiner Haltung hier in den Bericht einflechten.


Beobachtung 1.) Granivores Verhalten von Solenopsis cf. geminata

Los geht's:

1.) Granivores Verhalten von Solenopsis cf. geminata

Für den Versuch habe ich diverses Futter auf einer Fütterungsschale angeboten; zunächst war das Ziel garnicht spezifisch die Granivorität zu testen.

Hier die gefüllte Futterschale mit diversem Angebot und bereits neugierigen Arbeiterinnen. Startbild:
40_granivor_Start.JPG

Die kleineren Samen wurden umgehend abtransportiert zur Zerlegestation, in der die Majore warten und ihr Tagwerk verrichten:
41_granivor_Transport.JPG

Nach 5 Stunden waren die kleinen Samen bereits vollständig abtransportiert:
42_Granivor nach 5 Stunden.JPG

Nach wenigen Tagen sind dann Mückenlarven und Proteinfutter auch abtransportiert worden und die großen Samen lediglich von der Futterschale in den Sand positioniert worden. Endbild:
43_Granivor über Nacht.JPG


Für einen weiteren, zweiten Test habe ich einen Kronkorken mit kleineren Samen gefüllt, ein Startbild geschossen und diesen nach 72 h erneut fotografiert.
Klares Ergebnis:
44_Granivor Kronkorken Start-Ende.jpg

Abschließend wurden der Kolonie in einem dritten Test Chia-Samen angeboten.
Diese wurden umgehend und vorbehaltslos angenommen...:
46_Chiasamentransport.JPG

...und auf bekannter Ameisenstraße transportiert:
45_Samentransport.JPG


Die Verwertung der kleinen Samen fand im äußersten Reagenzglasnest statt und wurde mit großer Unterstützung durch die Majore vollzogen:
47_Samenverwertung.JPG

Die Majore auf dem Bild sind übrigens nicht der Super-Major, von dem ich berichtet habe.
Habe aber mittlerweile ein Bild von ihm, das ich bald einstellen werden.
Ich finde die "normalen" Major jedoch schon eindrucksvoll.
Die Samenschalen haben sie übrigens hier abgelegt:
49_Samenschalen.JPG


Mit diesen drei Tests ist das granivore Verhalten von Solenopsis cf. geminata in meiner Haltung und unter den derzeitigen Bedingungen für mich klar bewiesen.
"Things may change" wie der Engländer sagt - für den Moment ein Habitus über den ich mich sehr freue (Stichwort Urlaub).
Dies zu testen und hier zu dokumentieren macht zudem so viel Spaß :huepfer:

Im nächsten Update folgt dann Beobachtung # 2:

"2.) Fähigkeit und Technik von Solenopsis cf. geminata zur Überwindung von Ölbarrieren in der Haltung"

Bis dahin und viele Grüße,
Reliant

Hier kann diskuttiert werden:
topic59689.html
Folgende Benutzer bedankten sich beim Autor ReliAnt für den Beitrag (Insgesamt 3):
User3165ErneDerTyp



Benutzeravatar
ReliAnt

User des Monats Mai 2018 User des Monats August 2019
Halter
Offline
Beiträge: 289
Registriert: 4. April 2018, 21:01
Auszeichnung: 2
Hat sich bedankt: 166 Mal
Danksagung erhalten: 339 Mal

#11 Re: Haltungsbericht kubanische Myrmicinae

Beitrag von ReliAnt » 26. September 2019, 20:37

26.09.2019 (Koloniealter ca. 104 Tage): 1 Königen, sehr viele Eier, sehr viele Larven, sehr viele Nacktpuppen, geschätzte 400 Arbeiterinnen

Die Kolonie explodiert.
Spätestens nach meinem Urlaub werde ich dies nochmals eindrücklich bebildert zeigen.... :eek:

Für heute:

Im letzten Update weiter oben habe ich begonnen meine bei der Kolonie gemachten Beobachtungen zu dokumentieren.

Den Anfang hat gemacht: "1.) Granivores Verhalten von Solenopsis cf. geminata".

Heute schreibe ich mit den Beobachtungen 2, 3 und 4 gleich drei weitere Episoden :)

Beobachtung 2.) Fähigkeit und Technik von Solenopsis cf. geminata zur Überwindung von Ölbarrieren in der Haltung
Beobachtung 3.) Das Abdeckverhalten der Kolonie
Beobachtung 4.) Die fähigkeit zur Ausbildung von "Super Majoren"

Los geht's:

2.) Fähigkeit und Technik von Solenopsis cf. geminata zur Überwindung von Ölbarrieren in der Haltung

Minor und Media-Arbeiterinnen können an Glaswänden laufen.
Sehr gut sogar.
Erstaunlicherweise sind sie dafür recht ungeschickt beim Überkopfklettern.
Ohne Ölbarriere am Rahmendeckel stürzen die Arbeiterinnen schneller zu Boden als mit Ölbarriere.
Der Grund:
Sie schaffen sich mit der Ölbarriere und Sandkörnern die am Öl haften Stück für Stück und über Tage hinweg einen "Überkopf-Laufweg".
Hier entsprechend vielsagende Bilder:
50_Rahmen abgedeckt.jpg
51_Rahmen_laufende Ameisen.JPG

Beim Rahmendeckel der neuen Arena habe ich deswegen die ersten 10mm des Rahmens ohne Ölbenetzung gelassen!
Ergebnis: Es wirkt. Bisher können sie nicht mit den Sandkörnern zum Öl am Rahmendeckel gelangen weil sie (noch) kopfüber schnell herunterfallen.
Ergo: Für den Moment könnte man fast sagen: Ohne Ölbarriere ist es sicherer als mit :p

Die Kolonie kann Ölbarrieren also recht leicht überwinden.


Beobachtung 3.) Das Abdeckverhalten der Kolonie

Es besteht bei dieser Art eine hohe Sensitivität für Gefahrenstellen.

Zumindest in meiner Haltung.
Wahrscheinlich jedoch auch im Allgemeinen.
Evolutionärer Vorteil? Vermutlich ja.

Die Kolonie deckt sämtliche Feuchtigkeitsquellen oder klebrige Oberflächen in windeseile ab.
Sie verhindern somit nicht nur ein Festkleben/Ertrinken, sondern mehr noch. Sie ermöglichen sich so sogar die Passage über solche Gefahrenstellen.
Dies Verhalten ist nicht spezifisch und auch bei anderen Arten mehr oder weniger ausgeprägt zu beobachten.

Meine Lasius brunneus tendieren auch stark dazu wie hier zu sehen:
Image00003.jpg


Ähnliche Bilder bei Solenopsis cf. geminata jedoch erfolgt der Prozess des Abdeckens sehr, sehr viel schneller. Von Anfang an.
Es schien als hätte dies sogar Priorität über das Zerlegen von Futtertieren. Dies wurde zum Abdecken nämlich mehr als einmal unterbrochen.
So sieht es dann beispielsweise bei Solenopsis cf. geminata nach kurzer Zeit an der Melone aus:
52_Melone und Zuckertest.JPG
Im Gegensatz dazu ist das Verhalten bei meinen Lasius niger nur sehr viel weniger ausgeprägt vorhanden und bei Messor barbarus fast garnicht.
Messor barbarus ist auch eine der Arten, die (vielleicht aufgrund des Fehlens dieses Verhaltens) am ehesten dem Tod durch Ertrinken/Verkleben geweiht ist.

Zum Thema Abdeckverhalten habe ich euch auch ein ergänzendes Video gedreht und hochgeladen:


In einer der nächsten Episoden werde ich zum Thema Rekrutierung noch Videomaterial bringen.
Die Rekrutierung zur Gefahrenabwehr (dann "geht es richtig ab" wie man heutzutage sagt) oder bei interessanten Futterangeboten ist sehr zügig und überaus aggressiv.


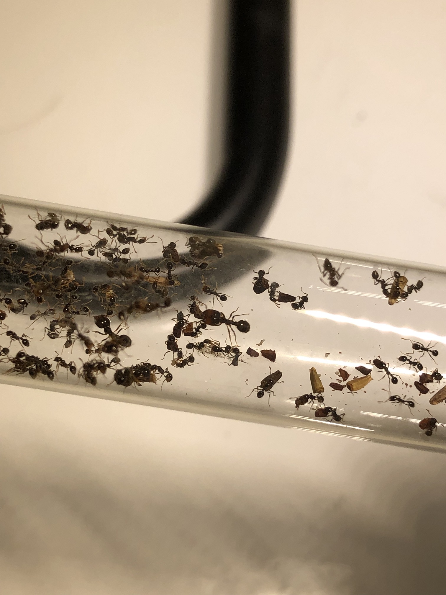
Beobachtung 4.) Die Fähigkeit zur Ausbildung von "Super Majoren"

Nun, da komme ich ohne Umschweifen gleich zur Sache:
49_Super Major.JPG
Bitte Bild groß machen und reinzoomen.
Oben mittig ist eine Media zu erkennen - der Major hat einen sicher viermal so breiten Kopf.

Ob der Terminus "Super Major" valide ist oder nicht mag ich nicht zu beurteilen.
Er ist in abgewandelter Form (SuperSoldier) in einem Artikel in der "Science" zu finden:
https://science.sciencemag.org/content/ ... 9d72fb66cf

Auszugsweise kann auch hier eine Art Abstract gefunden werden:
https://www.popularmechanics.com/scienc ... more-dont/

So oder so: Mein Supermajor ist keine genetische Laune.
Zumindest ist das höchst unwahrscheinlich.
Es gibt nämlich mittlerweile zwei von ihnen!

Aufgaben: Offenbar Zerlegearbeiten und Speicherung von Nahrung (Speichertier).
Außerhalb des westlichen RG-Nestes in der Anlage sind die beiden bisher noch nicht zu beobachten gewesen.
Eindrucksvoll.

Schaut euch weiter oben bitte nochmals diese Mandbilen an! :irre:
Bin offen gesagt recht interessiert daran, zu erfahren, ob sie damit durch menschliche Haut kommen...

Und mit diesen drei Updates soll der heutige Bericht besiegelt sein.

Sende euch viele Grüße und bis Bald,
ReliAnt
Folgende Benutzer bedankten sich beim Autor ReliAnt für den Beitrag (Insgesamt 5):
DerTypAmeisenstarterUser3165UnkerichErne



Benutzeravatar
ReliAnt

User des Monats Mai 2018 User des Monats August 2019
Halter
Offline
Beiträge: 289
Registriert: 4. April 2018, 21:01
Auszeichnung: 2
Hat sich bedankt: 166 Mal
Danksagung erhalten: 339 Mal

#12 Re: Haltungsbericht kubanische Myrmicinae

Beitrag von ReliAnt » 11. Oktober 2019, 23:02

11.10.2019 (Koloniealter ca. 120 Tage): 1 Königen, sehr viele Eier, sehr viele Larven, sehr viele Nacktpuppen, geschätzte 600 Arbeiterinnen

Hell/dunkel/hell/dunkel/hell und der Urlaub ist vorbei.

So oder so ähnlich fühlt sich das mittlerweile nicht mehr ganz so überaschend an :)

Anbei ein kurzes Update inklusive einem Video der derzeitigen Nestraumbelegung

Vor der Abfahrt in unseren Urlaub hatte ich der Kolonie einigen Futtervorrat angeboten.
Bestehend aus Hühnchenfleisch, Maden, Mückenlarven, Honigwasser, Nüssen, Kernen und Mehlkäferpuppen, Trauben etc.

Hier das fertig angerichtete Buffet vor der Abfahrt:
Urlaub vorher.jpg

Nach der Rückkehr (12 Tage) hatten sie das angebotene nahezu volständig geplündert:
Urlaub nachher.jpg

Beim letzten Mal, ist so viel übrig geblieben, dass es in der Arena anfing etwas zu schimmeln und zu riechen :o
Urlaubsvertretung war dieses Mal nicht drin.

Der Grund dafür, dass sie alles weggeputzt haben ist beim Blick in die Nester zu sehen :eek: :clap:
Hier ein entsprechendes Video.

Bitte vorher zur Kenntnis nehmen:
- Das Video habe ich auf die Schnelle gemacht nach 30 Stunden schlaflos - wir waren weit weg in Kanada.
- Kleinere Formfehler seien mir verziehen: Natürlich sind die 4 Nester nicht alle "angeschlossen" sondern liegen eher in den Arenen und die Begrifflichkeit "Schwesterart" passt in der Formulierung auch nicht. Gemeint ist in diesem Satz der Verlgeich zu Solenopsis invicta.




Der Kolonie geht es offensichtlich hervorragend - Tote durch die Futterflaute ergaben sich nicht bemerkenswert mehr als sonst zu beobachten

Nachdem ich ausgeschlafen bin, werde ich am Wochenende noch das ein oder andere Bild bzw. Video von kanadischen Ameisen oder damit assoziierten Dingen einstellen.

Viele Grüße,
Reliant

Hier kann diskuttiert werden:
topic59689.html
Folgende Benutzer bedankten sich beim Autor ReliAnt für den Beitrag (Insgesamt 4):
DoliFormicariusUnkerichMaddio



Benutzeravatar
ReliAnt

User des Monats Mai 2018 User des Monats August 2019
Halter
Offline
Beiträge: 289
Registriert: 4. April 2018, 21:01
Auszeichnung: 2
Hat sich bedankt: 166 Mal
Danksagung erhalten: 339 Mal

#13 Re: Haltungsbericht kubanische Myrmicinae

Beitrag von ReliAnt » 19. Oktober 2019, 13:51

19.10.2019 (Koloniealter ca. 130 Tage): 1 Königen, sehr viele Eier, sehr viele Larven, sehr viele Nacktpuppen, geschätzte 1300 Arbeiterinnen

Im heutigen Update möchte ich euch eine kurze Timelapse von in Summe ca. 30 Minuten Bildmaterial zeigen, das auf 30 Sekunden komprimiert wurde.
Die Kolonie wurde vorgestern Nacht mit Putenfleisch in einem Kronkorken gefüttert.
Ca. um Mitternacht wurde dieses Video augenommen, das den Ansturm auf die Nahrung ganz gut zeigt. :irre:
Hier das Video:


Wenn ihr genu hinseht, könnt ihr beim Jelly-Gel, das ich zusätzlich gereicht habe auch optimal erkennen, wie sie wieder sofort anfangen, die nasse, etwas klebrige Oberfläche mit Sand auszulegen wie der Fliesenleger im Bad :)

Am nächsten Morgen waren der Kronkorken sogut wie leer und das Fleich zerkleinert:
IMG_8638.JPG

Zwischengelagert hatten sie es in der kleinen Hauptarena für die zeitnahe Weiterverwendung:
IMG_8639.JPG

Sie trugen die kleinen Stückchen dann nach und nach ein in die Reagenzglas-Nester.
Mittlerweile ist nichts mehr zu sehen vom Putenfleisch.

Die neuen Nester sind noch nicht eingetroffen und ich warte täglich darauf.
Ein Umzug ist bald dringend nötig, denn die Ameisen haben sich in 2 von vier RG's durch die Watte gefressen, den Wassertank trockengelegt und leben nun vor wie hinter der Watte :eek:
Aber davon berichte ich im nächsten Update.

Viele Grüße,
ReliAnt
Folgende Benutzer bedankten sich beim Autor ReliAnt für den Beitrag (Insgesamt 3):
AmeisenstarterMaddioUnkerich



Benutzeravatar
ReliAnt

User des Monats Mai 2018 User des Monats August 2019
Halter
Offline
Beiträge: 289
Registriert: 4. April 2018, 21:01
Auszeichnung: 2
Hat sich bedankt: 166 Mal
Danksagung erhalten: 339 Mal

#14 Re: Haltungsbericht kubanische Myrmicinae

Beitrag von ReliAnt » 21. Oktober 2019, 22:22

21.10.2019 (Koloniealter ca. 130 Tage): 1 Königen, sehr viele Eier, sehr viele Larven, sehr viele Nacktpuppen, geschätzte 1400 Arbeiterinnen

Das letzte Update ist noch garnicht so lange her aber auch heute gibt es viele Interessante Eindrücke der Kolonie und wie ich finde aufschlussreiche Beobachtungen zu machen.
Diese möchte ich in Form von zwei Video's gerne mit euch teilen:

Das erste Video zeigt einen kompletten Kolonieüberblick des heutigen Tages:


Das zweite zeigt eine Timelapse von gestern abend von einer Madenfütterung.
Die Timelapse rafft ca. 1,5 Stunden in 30 sekunden zusammen.
Schon lange sind die Maden überbrüht gewesen, die ich der Kolonie gestern verfüttere aber es sieht in der Timelapse aus, als würden sie noch leben.
Findet ihr nicht auch?


Hier kann nach herzenslust diskuttiert werden:
topic59689.html

Sende euch viele Grüße,
ReliAnt
Folgende Benutzer bedankten sich beim Autor ReliAnt für den Beitrag:
Unkerich



Benutzeravatar
ReliAnt

User des Monats Mai 2018 User des Monats August 2019
Halter
Offline
Beiträge: 289
Registriert: 4. April 2018, 21:01
Auszeichnung: 2
Hat sich bedankt: 166 Mal
Danksagung erhalten: 339 Mal

#15 Re: Haltungsbericht kubanische Myrmicinae

Beitrag von ReliAnt » 23. Oktober 2019, 22:25

23.10.2019 (Koloniealter ca. 135 Tage): 1 Königen, sehr viele Eier, sehr viele Larven, sehr viele Nacktpuppen, geschätzte 1400 Arbeiterinnen

Gesten Abend ist das neue Nest für die Kolonie endlich eingetroffen.
Mit dem Kauf bei diesem Lieferanten habe ich für mich Neuland betreten und gleich eine kleine Enttäuschung erlebt...
Inzwischen hat sich AC gemeldet und sofortige Nachsendung versprochen.

Im angekündigten Unboxing-Video zeige ich euch die Lieferung:



Viele Grüße,
ReliAnt



Benutzeravatar
ReliAnt

User des Monats Mai 2018 User des Monats August 2019
Halter
Offline
Beiträge: 289
Registriert: 4. April 2018, 21:01
Auszeichnung: 2
Hat sich bedankt: 166 Mal
Danksagung erhalten: 339 Mal

#16 Re: Haltungsbericht kubanische Myrmicinae

Beitrag von ReliAnt » 26. Oktober 2019, 18:47

26.10.2019 (Koloniealter ca. 140 Tage): 1 Königen, sehr viele Eier, sehr viele Larven, sehr viele Nacktpuppen, geschätzte 1500 Arbeiterinnen

Das neue Nest in angeschlossen - wurde erst spät abends fertig.

Verrohrt wurde es mit den klaren Adaptern und Plexiglas.

Habe auch bereits einen Erweiterungsanschluss vorgesehen für eine weitere Arena.

In diesem Video zeige ich euch den Aufbau, den ich spät abends soweit komplettiert habe:

Viele Grüße,
Reliant



Neues Thema Antworten

Zurück zu „Exotische Ameisenarten“